コミドリコンゴウインコの重金属中毒
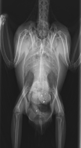
10分おきに痙攣を起こすとのことで来られたコミドリコンゴウインコさん。
レントゲン検査で胃内に金属陰影が見られたため、発作止めと中毒治療を開始しました。

幸い、治療によく反応してくれたため発作はすぐに治まり、数日間の入院の後元気に退院していきました。
中毒は命に関わる疾患であると同時に、ご家族が防ぐことのできる病気でもあります。
動物さんと遊ぶ時には、危険な物を齧らないよう十分に注意してあげてください。
2025年05月03日 19:47
2025年1月オープン ウサギ、トリ、爬虫類を中心としたエキゾチックアニマルの専門病院


| 時間 | 月 | 火 | 水 | 木 | 金 | 土 | 日 | 祝 |
|---|---|---|---|---|---|---|---|---|
| 9:00~12:00 | - | ○ | ○ | ○ | ○ | ○ | ○ | - |
| 16:00~19:00 | - | ○ | ○ | ○ | ○ | ○ | ○ | - |
休診日:月曜日、祝日
スマートフォンからのアクセスはこちら